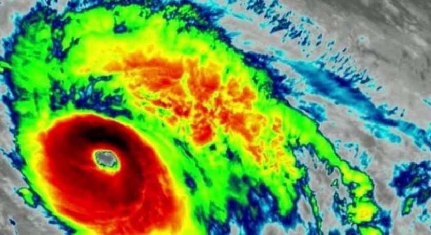
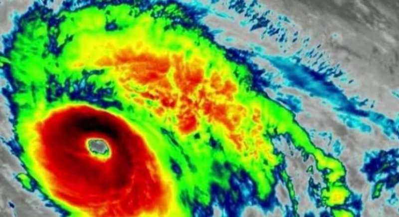
PORTO. L'uragano "Lorenzo", il più intenso nell'Oceano Atlantico orientale, punta sulle Isole Azzorre, in Portogallo. Sull'arcipelago è allerta. Declassato da categoria 5 a 2, l'uragano dovrebbe passare vicino a Corvo e Flores, la parte nord-occidentale delle Isole, portando con sé venti fino a 150 chilometri orari, piogge torrenziali e onde alte. Venerdì è previsto l'arrivo di "Lorenzo" su Irlanda e sul Regno Unito, dove potrebbe risalire di categoria.
Uragano Lorenzo, allerta nelle Azzorre: venerdì atteso su Irlanda e Regno Unito
- Redazione















